
Vị trí khu đất dự án theo đồ án quy hoạch
Theo thông tin công bố, dự án được triển khai trên cơ sở quy hoạch phân khu 1/2000 đã được phê duyệt trước đó và phù hợp với định hướng điều chỉnh quy hoạch tỉnh Tây Ninh sau sáp nhập. Trước đó, tỉnh Tây Ninh đang hoàn tất hồ sơ điều chỉnh quy hoạch tỉnh thời kỳ 2021–2030, tầm nhìn đến năm 2050, trong đó xác định lại mạng lưới đô thị, hành lang phát triển công nghiệp – dịch vụ và các khu vực ưu tiên thu hút đầu tư.
Quy mô “khủng” và tầm nhìn đô thị hiện đại
Dự án có diện tích gần 187,34 ha, dự kiến đón khoảng 31.348 cư dân. Đây là khu đô thị đồng bộ, kết hợp nhà ở thương mại, nhà ở xã hội và các công trình hạ tầng kỹ thuật - xã hội hoàn chỉnh.
Cụ thể, phần đất dành cho người dân tự xây dựng chiếm 431.912,5 m² với 5.431 lô nền. Phần đầu tư xây dựng trực tiếp của chủ đầu tư là 299.137,2 m², bao gồm 3.273 căn hộ (1.539 căn nhà liền kề thương mại và 1.734 căn nhà ở xã hội dạng chung cư). Tổng diện tích sàn xây dựng đạt hơn 1,19 triệu m².
Tổng mức đầu tư chính thức là 12.088 tỷ đồng, trong đó vốn góp của nhà đầu tư chiếm 15% (khoảng 1.813 tỷ đồng), phần còn lại huy động từ các tổ chức tín dụng. Chủ đầu tư là Công ty Cổ phần Đầu tư Vĩnh Tuy (trụ sở tại Hà Nội).
Theo quyết định phê duyệt, dự án sẽ đầu tư đồng bộ hệ thống hạ tầng kỹ thuật gồm giao thông nội bộ, cấp – thoát nước, cấp điện, chiếu sáng, cây xanh và các công trình hạ tầng xã hội như trường học, trung tâm y tế, khu thể thao, thương mại dịch vụ. Các hạng mục công cộng sau khi hoàn thành sẽ bàn giao cho Nhà nước quản lý theo quy định.
Đáng chú ý, trong bối cảnh nhiều địa phương đang đẩy mạnh phát triển nhà ở xã hội theo chỉ tiêu Chính phủ giao, việc bố trí 1.734 căn nhà ở xã hội trong cơ cấu dự án được xem là một trong những điều kiện quan trọng khi xem xét chấp thuận chủ trương đầu tư.

Vị trí dự án trên bản đồ quy hoạch
Tiến độ ưu tiên nhà ở xã hội
Thời hạn hoạt động dự án là 50 năm. Thời gian thực hiện chính: 7 năm (từ quý IV/2025 đến quý IV/2032).
• Quý IV/2025 - Quý III/2026: Hoàn thành quy hoạch chi tiết 1/500.
• Quý III/2026 - Quý IV/2027: Giải phóng mặt bằng.
• Năm 2027: Ưu tiên xây dựng nhà ở xã hội.
• Quý I/2030 - Quý IV/2032: Bàn giao các công trình công cộng.
Việc xác định lộ trình theo từng giai đoạn được đánh giá là phù hợp với chu kỳ triển khai các dự án khu đô thị quy mô lớn trong khu vực giáp TP.HCM hiện nay, đặc biệt trong bối cảnh công tác bồi thường, giải phóng mặt bằng tại các khu vực ven đô thường kéo dài.
Bất động sản Tây Ninh sau sáp nhập
Sau khi hoàn tất sáp nhập đơn vị hành chính, Tây Ninh trở thành địa phương có quy mô diện tích và dân số lớn hơn, kéo theo yêu cầu điều chỉnh lại chiến lược phát triển đô thị và công nghiệp.
Hội đồng thẩm định Trung ương đã thông qua hồ sơ điều chỉnh Quy hoạch tỉnh Tây Ninh, trong đó nhấn mạnh việc hình thành các trục phát triển đô thị – công nghiệp – dịch vụ dọc các tuyến giao thông liên vùng. Danh mục hơn 100 dự án thu hồi đất trong năm 2026 cũng cho thấy địa phương đang chuẩn bị quỹ đất cho nhiều dự án quy mô lớn.
Song song đó, hạ tầng giao thông khu vực đang được đẩy mạnh đầu tư. Tuyến cao tốc TP.HCM – Mộc Bài được xem là dự án trọng điểm kết nối Tây Ninh với trung tâm TP.HCM. Ngoài ra, các tuyến Vành đai 3, Vành đai 4 và các tuyến đường liên tỉnh đang triển khai sẽ tác động trực tiếp đến khả năng di chuyển và phân bổ dân cư khu vực phía Tây Bắc.
Thời gian gần đây, khu vực giáp ranh TP.HCM cũng ghi nhận thêm nhiều dự án lớn được chấp thuận, như khu đô thị gần 1.000 ha tại Phước Vĩnh Tây; khu đô thị phía Bắc sông Bến Lức – Chợ Đệm quy mô 259 ha; hay khu đô thị Tân Mỹ quy mô 930 ha. Việc nhiều dự án quy mô hàng trăm đến hàng nghìn hecta cùng xuất hiện trong giai đoạn 2025–2026 cho thấy nguồn cung tương lai sẽ gia tăng đáng kể.
Theo số liệu địa phương, tỷ lệ lấp đầy các khu công nghiệp trong khu vực đạt trên 70%, góp phần thúc đẩy nhu cầu nhà ở cho lực lượng lao động và chuyên gia. Đây được xem là một trong những yếu tố nền tảng để các dự án khu đô thị mới được phê duyệt trong thời gian gần đây.
-
Nhân dịp Tết Nguyên đán Bính Ngọ 2026, Tổng Bí thư Tô Lâm cùng đoàn công tác Trung ương đã đến thăm, chúc Tết Đảng bộ, chính quyền và nhân dân tỉnh Tây Ninh. Chuyến thăm không chỉ mang ý nghĩa động viên tinh thần mà còn khẳng định vị thế mới của Tây Ninh trong bức tranh phát triển kinh tế - xã hội đất nước. Tổng Bí thư nhấn mạnh: Tây Ninh không còn là tỉnh thuần nông mà đang vươn lên mạnh mẽ để trở thành trung tâm công nghiệp, dịch vụ gắn với kinh tế cửa khẩu, logistics của khu vực phía Nam.
-
Tây Ninh thông qua hồ sơ ĐIỀU CHỈNH quy hoạch tỉnh: Bước ngoặt phát triển SAU SÁP NHẬP
Ngày 3/2/2026, tại hội nghị thẩm định do Phó Chủ tịch UBND tỉnh Tây Ninh Nguyễn Hồng Thanh chủ trì, Hội đồng thẩm định đã nhất trí thông qua hồ sơ điều chỉnh Quy hoạch tỉnh Tây Ninh thời kỳ 2021-2030, tầm nhìn đến năm 2050.
-
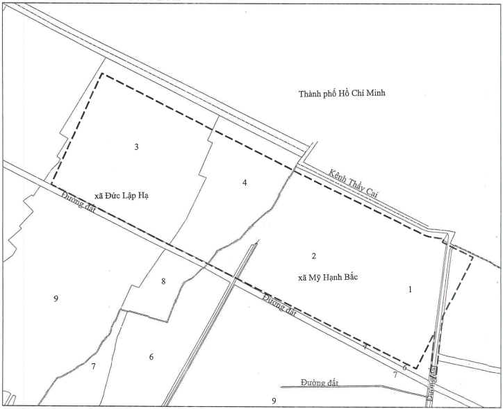
Trước khi XUỐNG TIỀN đất nền Đức Hòa, CẦN BIẾT về dự án khu dân cư 36 ha “cách TP.HCM con kênh”?
Một khu đất rộng hơn 36 ha, nằm giáp ranh TP.HCM, tiếp giáp nhiều khu công nghiệp lớn tại khu vực Đức Hòa – Đức Lập, đang được thị trường quan tâm trong bối cảnh dòng tiền tìm về các khu vực ven đô. Tuy nhiên, theo hồ sơ pháp lý và môi trường, dự án khu dân cư này hiện vẫn đang ở giai đoạn hoàn thiện thủ tục bắt buộc, chưa đủ điều kiện để kinh doanh bất động sản.
-
Người dân Tây Ninh sắp có thêm 2 tuyến đường lớn: Tân An - Bình Hiệp và Gò Dầu - Xa Mát
Hai dự án hạ tầng giao thông quy mô lớn gồm đường Tân An - Bình Hiệp và cao tốc Gò Dầu - Xa Mát (giai đoạn 1) đã được Ban Kinh tế - Ngân sách HĐND tỉnh Tây Ninh đưa ra thẩm tra trước thềm Kỳ họp thứ 9. Với tổng mức đầu tư lên tới gần 20.000 tỷ đồng, ...
-
Tổng Bí thư Tô Lâm: Tây Ninh vươn lên mạnh mẽ để trở thành trung tâm công nghiệp và logistics phía Nam
Nhân dịp Tết Nguyên đán Bính Ngọ 2026, Tổng Bí thư Tô Lâm cùng đoàn công tác Trung ương đã đến thăm, chúc Tết Đảng bộ, chính quyền và nhân dân tỉnh Tây Ninh. Chuyến thăm không chỉ mang ý nghĩa động viên tinh thần mà còn khẳng định vị thế mới của Tây ...
-
Tây Ninh mở bán hàng trăm căn nhà ở xã hội giá từ 400 triệu/căn
Sở Xây dựng tỉnh Tây Ninh đã ban hành hai thông báo chính thức công bố thông tin về hai dự án nhà ở xã hội (NOXH) mới, nhằm đáp ứng nhu cầu nhà ở cho người lao động, đặc biệt là công nhân tại các khu công nghiệp. Đây là một phần trong kế hoạch lớn củ...
-
15 trung tâm logistics được quy hoạch tại Tây Ninh đến 2035: Được bố trí ở đâu?
Trong giai đoạn 2026-2035, Tây Ninh định hướng hình thành và phát triển 15 trung tâm logistics theo quy hoạch của tỉnh, phân bố tại các địa bàn có lợi thế về giao thông, cửa khẩu, vùng sản xuất tập trung và các hành lang kinh tế trọng điểm....
-
Hé lộ hồ sơ khu công nghiệp mới ở Tây Ninh sẽ lấy ý kiến cộng đồng trong 20 ngày
Ban Quản lý Khu kinh tế tỉnh Tây Ninh vừa chính thức công bố hồ sơ lấy ý kiến cộng đồng đối với đồ án Điều chỉnh quy hoạch phân khu tỷ lệ 1/2.000 Khu công nghiệp Anh Hồng 2, khu công nghiệp mới nằm trên địa bàn Đức Hòa, Long An cũ, nay thuộc xã Hiệp ...

.png)

