-
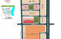
khu dan cu adc
-
Hàng trăm hộ dân bức xúc vì bị “treo” nhà gần 20 năm
16/07/2021 10:01 AM
Chủ đầu tư đổ lỗi cho sở, ngành trong khi các sở nói chưa nhận đủ hồ sơ.
-
TP.HCM: Chấp thuận đầu tư Khu dân cư ADC
23/12/2014 9:46 PM
CafeLand - UBND Thành phố vừa ban hành Quyết định số 6035/QĐ-UBND chấp thuận đầu tư giai đoạn 1 – Khu dân cư ADC, phường Phú Mỹ, quận 7, do Công ty Cổ phần ADEC làm chủ đầu tư.
-
TP.HCM: Điều chỉnh quy hoạch Khu dân cư ADC
17/10/2013 2:46 PM
CafeLand - UBND Thành phố vừa ban hành quyết định số 5643 /QĐ-UBND duyệt đồ án điều chỉnh quy hoạch chi tiết 1/500 Khu dân cư ADC tại phường Phú Mỹ, quận 7.
Khảo sát căn TV-3PN-6-9-MAX dòng 3PN ở The Victoria Smart City, diện tích m2 tầng 6-9, giá tham chiếu 73,6 triệu
73,6 triệu - 0m2
Tây Mỗ, TP. Hà Nội
Hôm nay
0942825***
VIP
Nhà giá rẻ Quận 10 Hoà Hảo ngang 4,2m dài 12m trệt lững lầu BTCT
9 tỷ - 45m2
Vườn Lài, TP. Hồ Chí Minh
Hôm nay
0911194***
VIP
Chỉ 680tr. Đất Nền Thổ Cư, Ngay KCN Long Khánh, P Bình Lộc, TP Đồng Nai
680 triệu- 114m2
Bình Lộc, Đồng Nai
Hôm nay
0936968***
VIP
890TR, 7,2m x 18m | 1 SẸC NHỰA HỒ THỊ HƯƠNG và ĐIỂU XIỂN. LONG KHÁNH. ĐN
890 triệu- 120m2
Long Khánh, Đồng Nai
Hôm nay
0936968***
VIP
THUÊ NHANH BUILDING LÔ GÓC FULL NỘI THẤT – DỊCH VỌNG HẬU, CẦU GIẤY
Thương lượng- 0m2
Cầu Giấy, TP. Hà Nội
Hôm nay
0865536***
VIP
KIỆT TÁC BÊN SÔNG – VỊ THẾ DẪN ĐẦU mang tên The Opera Residence
20 tỷ - 70m2
An Khánh, TP. Hồ Chí Minh
Hôm nay
0903654***
VIP
BÁN NHÀ MỚI KENG MẶT TIỀN TÂN XUÂN, HÓC MÔN ,SỔ HỒNG RIÊNG GIÁ 5,35 TỶ
5 tỷ 350 triệu- 100m2
An Lạc, TP. Hồ Chí Minh
Hôm nay
0977830***
VIP
BÁN ĐẤT MẶT TIỀN ĐƯỜNG NHỰA DIỆN TÍCH KHỦNG 1/ TÔ KÝ , XÃ TÂN XUÂN , HÓC MÔN
18 tỷ - 1270.3m2
Hóc Môn, TP. Hồ Chí Minh
Hôm nay
0977830***






