Click vào để biết vị trí, tiện ích, quy hoạch... của dự án
Quy mô dự án Khu dân cư mới Nam Tiến Bắc Giang
Phối cảnh tổng thể Khu dân cư mới Nam Tiến.
Khu dân cư mới Nam Tiến được quy hoạch trên tổng diện tích 22,7ha, trong đó giai đoạn 1 triển khai trên diện tích 9,85ha với 365 sản phẩm đất nền shophouse, nhà liền kề, biệt thự.
Phân khu shophouse bao gồm 74 lô với diện tích 90m2, phân khu liền kề gồm 239 lô với diện tích từ 80-90m2, phân khu biệt thự gồm 55 lô với diện tích 180m2.
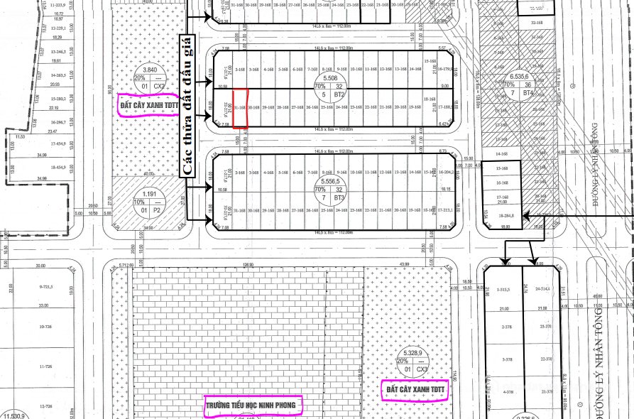
Mặt bằng Khu dân cư mới Nam Tiến.
Dự án được đầu tư hơn 39 tiện ích nội khu nổi bật như trung tâm thương mại, nhà văn hóa, trường học, hồ điều hòa, công viên, sân thể thao, khu thể thao, khu vui chơi, khu tiệc nướng…
Vị trí dự án Khu dân cư mới Nam Tiến.
Bên cạnh đó, dự án cũng được thừa hưởng tiện ích ngoại khu đa dạng như trường Tiểu học và THCS Đồng Phúc, Đức Giang; THPT Yên Dũng; Y tế Đức Giang, Đồng Việt; gần chợ, siêu thị, khu du lịch Côn Sơn Kiếp Bạc,…
Tiện tích nội khu Khu dân cư mới Nam Tiến.
Pháp lý dự án
Ngày 27/11/2017, UBND huyện Yên Dũng ban hành Văn bản số 1413/UBND-XD về việc đăng ký công bố danh mục dự án có sử dụng đất cần lựa chọn nhà đầu tư Khu dân cư mới Nam Tiến, xã Đồng Việt, huyện Yên Dũng.
Thông tin dự án Khu dân cư mới Nam Tiến Bắc Giang
Chủ đầu tư Khu dân cư mới Nam Tiến là Công ty CP Xây dựng Hoài Nam được thành lập ngày 12/5/2008 với vốn điều lệ gần 237 tỉ đồng, do ông Lê Văn Tám là Tổng Giám đốc kiêm người đại diện theo pháp luật. Công ty có trụ sở làm việc tại số nhà 88, đường Trường Chinh, phường Đồng Xuân, thị xã Phúc Yên, tỉnh Vĩnh Phúc.
Khoảng giữa tháng 5/2018, doanh nghiệp này trúng thầu dự án Khu dân cư mới Nam Tiến có quy mô khoảng 9,8ha với giá dự thầu gần 106 tỉ đồng. Mục tiêu của dự án là đầu tư xây dựng mới đồng bộ hạ tầng kỹ thuật theo quy hoạch chi tiết đã được phê duyệt. Trong đó chi phí giải phóng mặt bằng khoảng 20 tỉ đồng.
Giữa tháng 4 vừa qua, Chủ tịch UBND huyện Yên Dũng vừa ban hành quyết định xử phạt Công ty cổ phần Đầu tư xây dựng Hoài Nam, chủ đầu tư dự án Khu dân cư mới Nam Tiến, xã Đồng Việt (Yên Dũng) 130 triệu đồng về hành vi thi công trạm xử lý nước thải khi chưa có giấy phép xây dựng.
Gia Khánh Group là đơn vị phát triển và phân phối chính thức dự án Khu dân cư mới Nam Tiến từ chủ tư Hoài Nam.
Thông tin nhanh dự án Khu dân cư mới Nam Tiến Bắc Giang
Dự án: Khu dân cư mới Nam Tiến | Tổng diện tích: 9,8ha (giai đoạn 1) |
Vị trí: Đường ĐT398, xã Đồng Việt, huyện Yên Dũng, Bắc Giang | Tổng vốn đầu tư: 107,8 tỉ đồng |
Loại hình: Khu dân cư | Năm khởi công: |
Chủ đầu tư: Công ty CP Xây dựng Hoài Nam | Năm hoàn thành: |
Trần Thùy

- Mua bán cho thuê dự án
- Tin rao bán Khu Đô Thị Khu dân cư mới Nam Tiến
- Tin rao cho thuê Khu Đô Thị Khu dân cư mới Nam Tiến








trên toàn quốc và một số ngân hàng
để hỗ trợ bạn tìm một ngôi nhà phù hợp.
Thông Tin chi tiết Dự Án | ||||||||||||||||||||||||||||||||
|
|
- Tiềm lực tài chính, uy tín và thương hiệu chủ đầu tư4
- Vị trí thuận tiện, tiềm năng phát triển trong tương lai.4
- Tiện ích dự án, thiết kế4
- Pháp lý dự án đầy đủ, minh bạch, đáng tin cậy3
- Mức giá bán hợp lý4
- Tiềm năng tăng giá tương lai4